Среда, 25 Марта, 2026
Железногорск, Красноярский край

И снова о дорогах

19 июля 2022 / Общество / 0
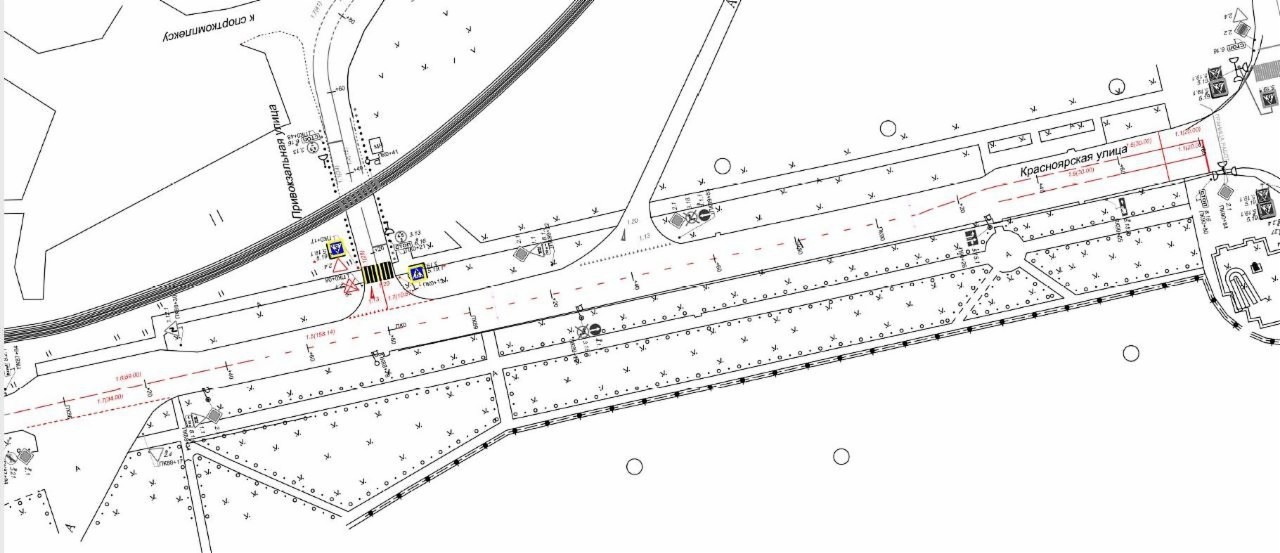
В Железногорске начали менять асфальтовое покрытие на участке дороги на въезде в город: улица Красноярская до улицы Советской Армии.
 
Также в рамках текущего ремонта будет обустроен пешеходный переход к спорткомплексу «Радуга». Стоимость составляет порядка 5 миллионов рублей, работы выполняет компания «Альфа-строй»
 
Напоминаем, что эти работы — часть контракта на текущий ремонт дорог. Всего в этом году планируют провести следующие дорожные работы:
 
— проспект Ленинградский: нечётная сторона (между домами 31 — 91), чётная сторона (от места напротив дома 91 до дома 14)
— въезд в город (ул. Красноярская до ул. Советской Армии) с обустройством пешеходного перехода к СК «Радуга»
— проезд Курчатова 20 — Курчатова, 15 (СЮТ)
— подпорная стенка, ул. Восточная, 11
— пандус, ул. Восточная, 1
— развязка 60 лет ВЛКСМ / Ленинградский 111
— выезд от ж/д Ленинградский 26 с устройством дополнительной полосы движения.